


■物件の特徴
◆スタイリッシュなカフェ風のコーディネート*子育て世代に嬉しく安心な平屋
◇【断熱等級5】高性能樹脂窓APW 330で住まいを快適断熱化
◆掃き出し窓【防犯ガラス】を使用でセキュリティ強化
◇角地で陽当たり良好*駐車スペース並列3台可能
■周辺環境の特徴
◆JR六合駅まで徒歩8分
◆小中学校まで徒歩10分圏内*六合幼稚園まで徒歩7分
◇マックスバリュ島田阿知ヶ谷店まで徒歩12分
◆鈴木内科医院まで徒歩9分*公園も近く子育てに最適な環境
【売主物件】【ご相談できる店舗があります】ご融資から土地探し、物件の詳細のご案内などのご相談は店舗でも可能です。お気軽にご来場下さい。
リビングを中心とした無駄のない家事動線

| 最寄駅 | JR東海道本線「六合」歩8分 |
|---|---|
| 学区 | 島田市立六合小学校 島田市立六合中学校 |
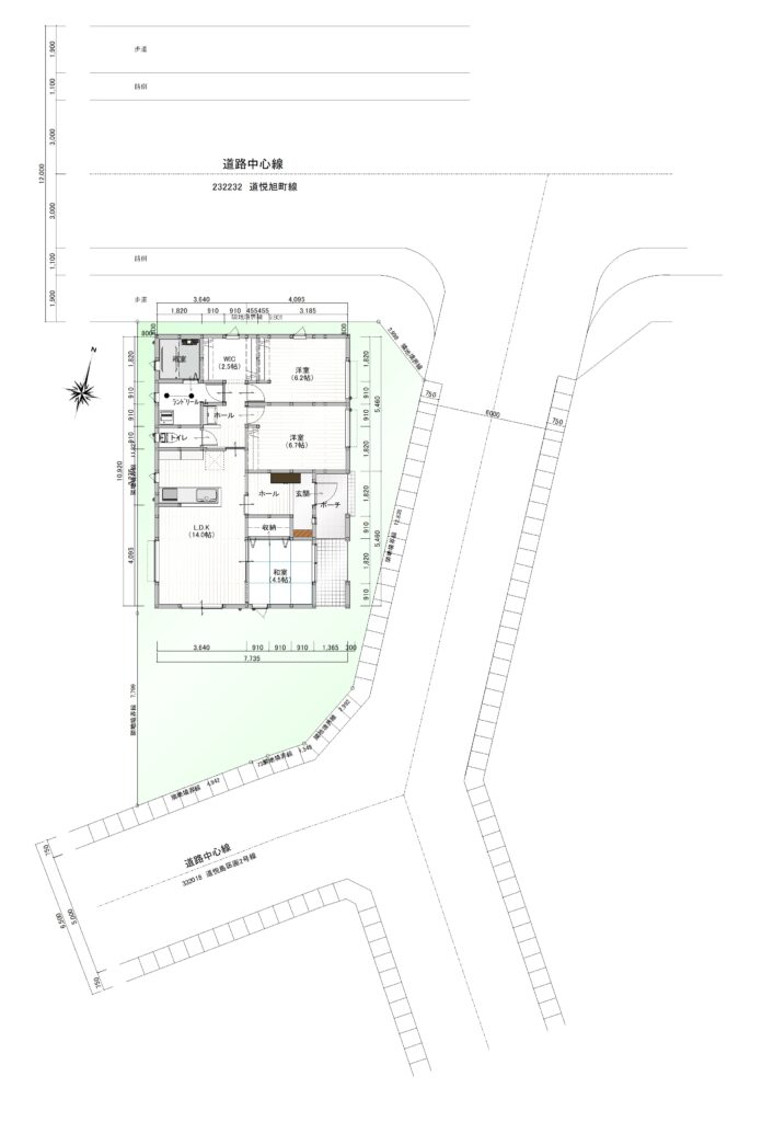
| 間取り | 3LDK |
| 土地面積 | 178.59m2(54.02坪)(登記) |
| 建物面積 | 77.01m2(23.29坪)(登記) |
| 建物構造規模 | 木造1階建 |
| 築年月(竣工月) | 2025年6月 |
| 駐車場 | 駐車スペース3台 |
| 建ぺい率/容積率 | 60%・200% |
| 都市計画 | 市街化区域 |
| 接道状況 | 東4m幅、北12m幅、南5m幅 |
| 地目 | 宅地 |
| 用途地域 | 1種住居 |
| 現況 | 新築 |
| 取引態様 | 売主 |
| 引渡し | 即入居可能! |
| 設備 | 公営水道、個別浄化槽、都市ガス |
| 建築確認番号 | 第2024確認建築静建住ま10257号 |
| 特徴 | 省エネ基準適合認定書あり/地盤調査済/年内引渡可/駐車3台以上可/土地50坪以上/システムキッチン/浴室乾燥機/陽当り良好/前道6m以上/角地/和室/庭10坪以上/シャワー付洗面化粧台/対面式キッチン/バリアフリー/浴室1坪以上/温水洗浄便座/南庭/床下収納/浴室に窓/TVモニタ付インターホン/ウォークインクローゼット/全居室複層ガラス・樹脂サッシ/都市ガス/シューズインクローク/平坦地/食器洗乾燥機/整備された歩道/浄水器/ポケットキー |
| 諸条件・相談 | 売主物件だから仲介手数料0円です♪ |
| 情報登録日 | 2025年3月17日 |
| 情報更新日 | 2025年11月11日 |